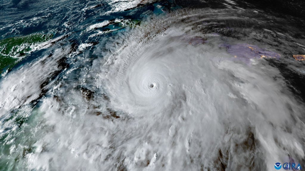
Se espera que el huracán Melissa traiga una catástrofe al tocar tierra en Jamaica con marejadas ciclónicas, inundaciones repentinas y deslizamientos de tierra en la peor tormenta que ha azotado la isla caribeña en este siglo, dijo el martes un funcionario meteorológico de la ONU.
La tormenta de categoría 5, la más fuerte posible en la escala Saffir-Simpson, traerá ráfagas de viento de más de 300 kilómetros por hora y una devastación generalizada en la isla, donde las autoridades han ordenado evacuaciones obligatorias.
“Se espera una situación catastrófica en Jamaica”, dijo la especialista en ciclones tropicales de la Organización Meteorológica Mundial, Anne-Claire Fontan, en una conferencia de prensa en Ginebra. “Para Jamaica, seguramente será la tormenta del siglo”.
Se esperaban marejadas ciclónicas de hasta cuatro metros, dijo, con lluvias que superarían los 70 cm, causando “catastróficas inundaciones repentinas y deslizamientos de tierra”, dijo.
El Centro Nacional de Huracanes de Estados Unidos espera que la tormenta golpee Jamaica el martes temprano, y luego cruce el este de Cuba para pasar por las Bahamas y las Islas Turcas y Caicos el miércoles.
El lento movimiento de Melissa sobre el agua inusualmente tibia del Caribe había contribuido a su tamaño y fuerza crecientes, dijeron los meteorólogos del NHC, amenazando a Jamaica con días de vientos catastróficos y lluvias nunca antes vistos.
La Federación Internacional de la Cruz Roja dijo que se esperaba que hasta 1.5 millones de personas en Jamaica se vieran directamente afectadas por la tormenta.
“Hoy será muy difícil para decenas de miles, sino millones de personas en Jamaica”, dijo Necephor Mghendi de la FICR a través de un enlace de video desde Puerto España en Trinidad y Tobago.
“Se probarán los techos, las aguas de las inundaciones aumentarán, el aislamiento se convertirá en una dura realidad para muchos”.
Para permitir una rápida distribución de socorro, se habían colocado artículos esenciales (lonas, kits de higiene, mantas y agua potable) en las sucursales de la Cruz Roja en la isla, dijo, con más de 800 refugios establecidos para los evacuados.
El lunes, el primer ministro Andrew Holness ordenó evacuaciones obligatorias para partes del sur de Jamaica, incluida la histórica ciudad de Port Royal.
